Info
Cheilinus trilobatus Lacepède, 1801
FishBase:
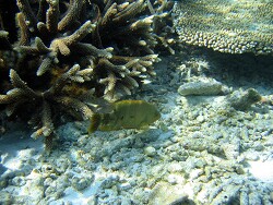
Adults inhabit lagoon and seaward reefs at depths of 1 to over 30 m, and relatively common along shallow reef margins with good coral cover Usually solitary.
Feed mainly on shelled invertebrates such as mollusks and crustaceans, but he occasionally take fishes.
Juveniles secretive on algae reefs and usually around stinging hydrozoans.
Synonyms:
Cheilinus fasciatopunctatus Steindachner, 1863
Cheilinus fasciato-punctatus Steindachner, 1863
Cheilinus festivus Valenciennes, 1840
Cheilinus maculosus Valenciennes, 1840
Cheilinus nebulosus Richardson, 1846
Cheilinus pulchellus Sauvage, 1880
Cheilinus rivulatus Valenciennes, 1840
Cheilinus sinuosus Quoy & Gaimard, 1824
Cheilinus tetrazona Bleeker, 1853
Cheilinus trilobus Schinz, 1822
Chelinus trilobatus Lacepède, 1801
Jumping guard
A jumping guard prevents (nocturnal) fish from jumping out.
Wrasses, blennies, hawkfishs and gobies jump out of an unprotected tank in fright if their night rest is disturbed, unfortunately these jumpers are found dried up in the morning on carpets, glass edges or later behind the tank.
https://www.korallenriff.de/en/article/1925_5_Jump_Protection_Solutions_for_Fish_in_the_Aquarium__5_Net_Covers.html
A small night light also helps, as it provides the fish with a means of orientation in the dark!
FishBase:
Adults inhabit lagoon and seaward reefs at depths of 1 to over 30 m, and relatively common along shallow reef margins with good coral cover Usually solitary.
Feed mainly on shelled invertebrates such as mollusks and crustaceans, but he occasionally take fishes.
Juveniles secretive on algae reefs and usually around stinging hydrozoans.
Synonyms:
Cheilinus fasciatopunctatus Steindachner, 1863
Cheilinus fasciato-punctatus Steindachner, 1863
Cheilinus festivus Valenciennes, 1840
Cheilinus maculosus Valenciennes, 1840
Cheilinus nebulosus Richardson, 1846
Cheilinus pulchellus Sauvage, 1880
Cheilinus rivulatus Valenciennes, 1840
Cheilinus sinuosus Quoy & Gaimard, 1824
Cheilinus tetrazona Bleeker, 1853
Cheilinus trilobus Schinz, 1822
Chelinus trilobatus Lacepède, 1801
Jumping guard
A jumping guard prevents (nocturnal) fish from jumping out.
Wrasses, blennies, hawkfishs and gobies jump out of an unprotected tank in fright if their night rest is disturbed, unfortunately these jumpers are found dried up in the morning on carpets, glass edges or later behind the tank.
https://www.korallenriff.de/en/article/1925_5_Jump_Protection_Solutions_for_Fish_in_the_Aquarium__5_Net_Covers.html
A small night light also helps, as it provides the fish with a means of orientation in the dark!






Henning